Sale Agreed
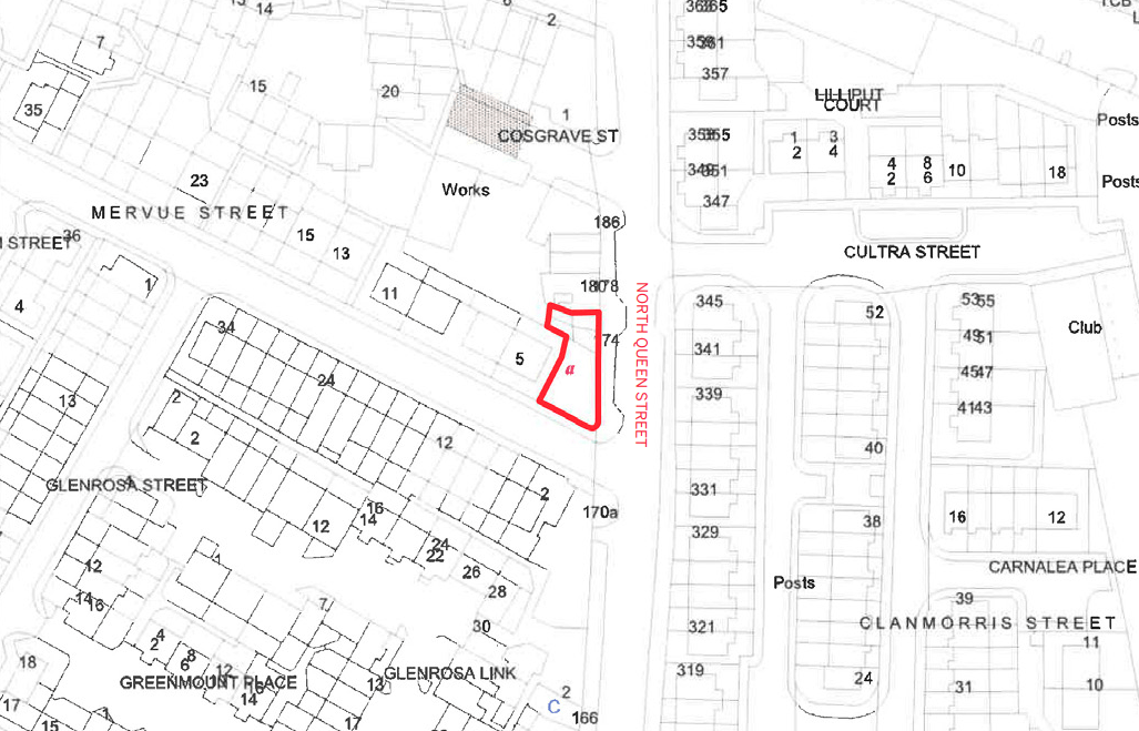
172 North Queen Street,
Belfast, BT15 1EP
Offers in excess of
£350,000
Investment Property
Property Overview
- Features
- Location
- Title (See Land Registry Maps)
- Price
- VAT
- EPC
- Information
- Customer Due Diligence
- Contact
Built in 2018 comprising a modern, purpose built, 2 story block of apartments with lift access (4 no. – 2 no. x2 bed, 2 no. x 1 bed) fronting a main arterial road.
All apartments are separately metered for gas heating and electricity.
We understand the property is fully let and will produce a gross annual income of £27,600 pa. to Year End November 2025. Domestic rates payable (non-recoverable) for the current year are approximately £1,500.
.
Built in 2018 comprising a modern, purpose built, 2 story block of apartments with lift access (4 no. – 2 no. x2 bed, 2 no. x 1 bed) fronting a main arterial road. All apartments are separately metered for gas heating and electricity. We understand the property is fully let and will produce a gross
- Modern block of 4 apartments – fully let
- Well managed and maintained externally and internally
- Located in areas of high rental demand
- Fully let producing a gross annual income of £27,600 gross, monthly income £2,300 for year ending November 2025
- Based on a purchase price of £350,000, the portfolio produces a Gross yield of 7.89%, before purchaser’s costs of 3.66%
- Fully let generating a strong net income
- Reversionary income - potential to grow rents
Accommodation
Lisney Commercial
Services
Meet our Experts
- Development Land
- Industrial
- Investment
- Licensed and Leisure
- Offices
- Retail
- Specialist
Loading...
